Nostril Asymmetry Correction โ Revision Rhinoplasty in Korea
- Dr. Chayoung Kang
- 2024๋ 6์ 20์ผ
- 3๋ถ ๋ถ๋
์ต์ข ์์ ์ผ: 2025๋ 10์ 10์ผ
Hello! This is Dr. Chayoung Kang, Director of Noselab Clinic.
Today I would like to share a case of nostril asymmetry correctionย performed as a revision rhinoplasty.
The patient had undergone multiple surgeries at other clinics but was told that the asymmetry of the nostrilsย could not be fixed. In reality, correcting nostril asymmetry is much more complex than it may seem.
Preoperative Analysis of Nostril Asymmetry
From the front, the nostrils were significantly visible, and the asymmetry was noticeable. Moreover, the nose was bent to the left, and, as observed in the CT taken at our hospital, the silicone prosthesis had actually gone over the left side. When looking at a photo of the nostrils, it could be observed that the columella was also going to the left side, and the nose tip cartilage was lifted and misaligned with the columella. The nasal congestion on the right side was severe, and the CT and endoscopy findings revealed that at the upper part, the septum was on the right side, and in the bottom part, the septum, was partially to the left side. Also, we found the presence of hypertrophic rhinitis in both sides.

Endoscopic photos taken before the surgery.
The silicone implant was bent to the left.
Asymmetry of the nasal bone. The part connecting the nasal bone and the nose tip cartilage was crooked.
The columella was bent to the left.
The forehead was too high in comparison to the point in between the eyebrows.
The nose tip looked droopy in comparison to the nose bridge.
Complaints of nasal congestion on the right side.

Frontal view: Consultation design before the surgery.

Nostril view: Consultation design before the surgery.
Surgical Plan and Techniques for Nostril Asymmetry Correction
The silicone implant was bent to the left. โ Insertion of an new silicone implant and sculpt it to fit the nasal bone.
Asymmetry of the nasal bone. The part connecting the nasal bone and the nose tip cartilage was crooked. โ Outer osteotomy and using a silicone implant.
The columella was bent to the left. โ Lowering the columella by using self-rib cartilage.
Nostril asymmetry โ Presumed to be improved as the nose bridge is straightened.
The forehead was too high in comparison to the point in between the eyebrows. โ Lowering the starting point of the silicone approximately to the height of the pupil line.
The nose tip looked droopy in comparison to the nose bridge. โ Improved by using the self-rib cartilage in the nose tip to perform a septal extension graft.
Complaints of nasal congestion on the right side. โ Septal reconstruction and performing a submucosal resection using a high-frequency laser.
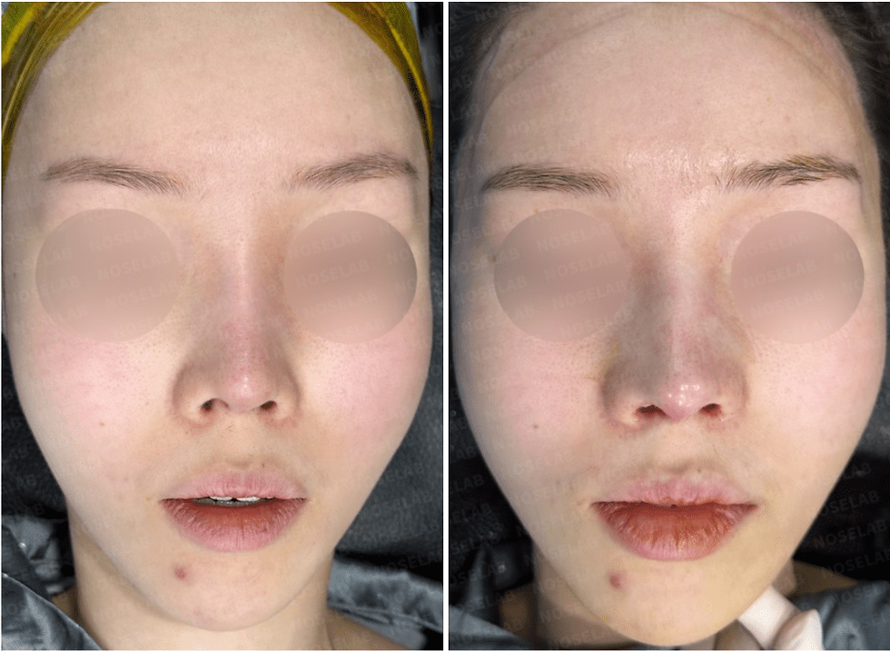
Before and After Surgery Photos




I fixed the most visibly asymmetric parts of the nostrils. At the time of the surgery, it was confirmed that the condition was worse than we had planned. In the previous surgery, there was a large amount of septal cartilage collected from the bone, so the septum had barely any stability. The bottom of septal cartilage and nasal bone were separated and were crumpled to the left side. The anterior nasal spine [see below] at the bottom part of the columella was firmly fixed, and both sides were reinforced with the self-rib cartilage, which fixed the nostril asymmetry.

Anterior Nasal Spine reference image

Photos taken after the surgery with the consent of the patient.ย
As planned before the surgery, everything went well during the operation, and as observed in the photos taken after the surgery, the parts that the patient wanted to correct, were improved satisfactorily.
Dr. Chayoung Kang
Director of Noselab Clinic

Messenger(WhatsApp) : +82 1057360302
Home page : www.noselab.co.kr
Instagramย : noselab_global
YouTube : Noselab
Email : noselab@naver.com



๋๊ธ